Service Guide

Get Ants Extermination Service

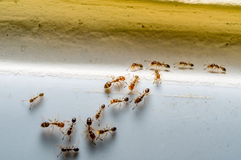
Local contractors offer ant extermination services to eliminate infestations and protect residential or commercial properties from pest damage.

Ants can be a persistent problem for property owners, often leading to concerns about damage, cleanliness, and overall comfort. If you're noticing ant activity around your home or business, exploring professional extermination services is a practical step toward addressing the issue effectively. Local contractors specializing in ant control have the experience and tools to assess the situation and implement targeted solutions, helping to protect your property and maintain a pest-free environment.

When planning to manage ant infestations, comparing options among nearby service providers can ensure you find a solution tailored to your specific needs. Many property owners choose to work with local experts who understand the unique challenges of the area, providing reliable and efficient services. Keep reading to discover how local ant extermination professionals can help you restore comfort and peace of mind to your property.

Get Ants Extermination Service Quotes

  • Ants Extermination - needed when ants have invaded a home or commercial property and are difficult to eliminate.
  • Ants Prevention - necessary to protect structures from future ant infestations after initial removal.
  • Ants Inspection - required when signs of ant activity are observed and a detailed assessment is needed.
  • Ants Treatment - appropriate for ongoing ant problems that persist despite basic cleaning efforts.
  • Ants Barrier Services - used to establish a protective perimeter around a property to prevent ant entry.
Ants Extermination Service
Ants Extermination Service
Ants Extermination Service

Ants extermination services involve identifying and eliminating ant infestations in residential and commercial properties. These services typically include a thorough inspection of the property to locate ant colonies and entry points, followed by targeted treatment methods to eradicate the pests. Local contractors may use a combination of baiting, trapping, and residual insecticides to control the ant population effectively. The goal is to remove existing ants and prevent future invasions, helping property owners maintain a pest-free environment.

Ant problems can cause significant inconvenience and damage, especially when colonies establish themselves indoors or around the foundation of a property. Common signs of an ant infestation include visible trails, ant mounds near the exterior, or ants inside the home or building. Ants can contaminate food, damage structures, and create unsanitary conditions. Extermination services help address these issues by eliminating the source of the problem and implementing measures to reduce the likelihood of recurrence, ensuring a cleaner and safer living or working space.

This type of service is often needed for a variety of property types, including single-family homes, apartment complexes, office buildings, and retail establishments. Homes with gardens or landscaping are particularly vulnerable, as outdoor ant colonies can easily migrate indoors. Commercial properties, especially food service establishments and warehouses, frequently require ant control to meet health and safety standards. Regardless of the property size or type, local service providers can tailor their approach to effectively manage ant infestations and protect the space from future problems.

Homeowners and property managers typically seek ants extermination services when they notice signs of an infestation or want to prevent potential issues. These services are practical solutions for addressing persistent ant problems that do not resolve on their own. Whether ants are invading a kitchen, pantry, or outdoor patio, local contractors can provide the expertise needed to handle the situation. Contacting a professional ensures that the problem is managed safely and efficiently, helping to restore comfort and hygiene to the affected property.

The overview below groups typical Ants Extermination Service projects into broad ranges so you can see how smaller, mid-sized, and larger jobs often compare in your area.

In many markets, a large share of routine jobs stays in the lower and middle ranges, while only a smaller percentage of projects moves into the highest bands when the work is more complex or site conditions are harder than average.

Small Ant Infestation Removal - typical costs range from $250 to $600 for many routine jobs. Most local contractors handle these smaller projects within this range, which covers initial inspections and basic treatments.

Moderate Ant Control Services - projects involving larger areas or multiple treatments generally fall between $600 and $1,200. Many projects in this band are common, with fewer reaching the higher end for more extensive infestations.

Severe or Persistent Infestation Treatments - larger, more complex jobs can cost $1,200 to $2,500 or more. These often involve multiple visits and integrated pest management strategies, which are less common but necessary for tough cases.

Full Property Extermination or Replacement - comprehensive projects, such as complete property treatments or structural repairs, may range from $2,500 to $5,000+. Such extensive work is less frequent and typically involves significant treatment plans or property modifications.

Actual totals will depend on details like access to the work area, the scope of the project, and the materials selected, so use these as general starting points rather than exact figures.

Get a Quote

Pest Control for Cockroaches - professionals use similar inspection, treatment, and prevention techniques as ant extermination services to eliminate infestations effectively.

Spider Removal Projects - involve identifying nesting areas and applying targeted treatments, requiring planning and pest management skills comparable to ant control.

Termite Treatment Services - demand detailed inspections and specialized treatment methods, sharing tools and planning approaches with ant extermination efforts.

Rodent Control Projects - involve trapping, baiting, and sealing entry points, which are related to ant control strategies in pest identification and exclusion techniques.

Bed Bug Eradication Services - require thorough inspections and treatment plans similar to those used in ant extermination to ensure complete removal.

Mosquito Control Projects - involve site assessments and targeted application methods, aligning with pest control skills used in ant extermination services.

Ants Extermination Service

When comparing service providers for ant extermination, it’s important to consider their experience with similar projects. Homeowners should look for local contractors who have a proven track record in handling ant infestations in residential settings. An experienced professional will be familiar with the common types of ants in the area and understand effective treatment methods, which can contribute to more reliable results. Gathering information about how long a contractor has been providing ant control services and their familiarity with local pest challenges can help in assessing their capability to manage the job effectively.

Clear written expectations are essential to ensure both parties understand the scope of work and the methods involved. Homeowners should seek out service providers who can provide detailed descriptions of their treatment approaches, what areas will be addressed, and any preparations needed before the service. Having these expectations documented helps prevent misunderstandings and allows for a smoother process. It’s also beneficial to inquire about warranties or guarantees offered, which can provide additional confidence in the service provider’s commitment to effective ant control.

Reputable references and good communication are key factors when choosing local contractors for ant extermination. Homeowners should request references from previous clients or look for reviews that speak to the contractor’s professionalism and reliability. A service provider who communicates clearly and promptly can help answer questions, provide updates, and address concerns throughout the process. Since the site introduces homeowners to local options rather than performing the work directly, it’s important to contact and evaluate potential contractors directly to ensure they meet expectations and have a solid reputation within the community.

Get an Ants Extermination Service Quote

Property owners use Ants Extermination Service services for practical projects around their homes and businesses. This guide focuses on everyday jobs and straightforward project options.

Ants Extermination Service
Ants Extermination Service

Ants can become a common nuisance for property owners dealing with everyday issues such as food contamination, unsightly trails, or unexpected infestations in kitchens, basements, and outdoor areas. Local contractors specializing in ant extermination are often called upon when these pests invade homes or businesses, disrupting daily routines and creating concerns about hygiene and property damage. Whether it’s a small ant trail or a larger infestation, professional service providers are equipped to address these situations efficiently and effectively.

Many property owners seek out local ant extermination services when facing recurring problems that simple DIY solutions can’t resolve. Common reasons include noticing increased ant activity during certain seasons, discovering nests near the foundation, or wanting to prevent future invasions. Service providers in the area can assess the situation, identify the source of the problem, and implement targeted treatments to help restore comfort and peace of mind in residential or commercial spaces.

Get an Ants Extermination Service Quote

How do local contractors handle ant infestations? Local ant extermination service providers typically perform inspections to identify ant species and entry points, then use targeted treatments to eliminate colonies and prevent future invasions.

What methods are commonly used by local pros to get rid of ants? Common techniques include baiting, residual sprays, and barrier treatments designed to target ants at different stages of their life cycle.

Are ant extermination services safe for pets and children? Many local service providers use treatment options that are safe for households with pets and children, but it’s best to discuss specific concerns with the contractor during contact.

What areas do local contractors typically cover for ant extermination? Service providers usually cover residential, commercial, and outdoor spaces where ants are active, including yards, gardens, and building interiors.

How can I find local pros who specialize in ant extermination? The lead generation platform can help connect with local contractors experienced in ant control to compare options and request service details.

Preventative Measures - Property owners can consult with local contractors to implement strategies that deter ants from entering homes or gardens.

Infestation Inspection - Homeowners can schedule inspections to identify ant activity early and determine the best treatment approach.

Barrier Treatments - Local service providers can apply treatments around the property perimeter to create a protective barrier against ant intrusion.

Ongoing Monitoring - Property owners can set up regular monitoring with local pros to maintain ant-free environments over time.

Ants Extermination Service

If you are thinking about Ants Extermination Service for a property, this guide is meant to help you understand the work, the typical project types, and how different options might fit your plans.

When you are ready, you can use the quote form on this page to share a few details about your project. From there, local pros can review the basics and respond with options that match what you have in mind.

Get a Quote

Ants Extermination Quotes

Our Trusted Partners
Benzel Pest Control
Orkin
Pestgo Exterminators